Interaction of Mesenchymal Stromal Cells with Primary 5XFAD Mice Hippocampus Culture Depending on Cocultivation Method
- Authors: Chaplygina A.V.1, Zhdanova D.Y.1, Kovalev V.I.1, Poltavtseva R.A.2, Bobkova N.V.1
-
Affiliations:
- Institute of Cell Biophysics, Russian Academy of Sciences, FRC PSCBR RAS
- National Medical Research Center for Obstetrics, Gynecology and Perinatology named after Academician V.I. Kulakov, Ministry of Healthcare of the Russian Federation
- Issue: Vol 40, No 3 (2023)
- Pages: 217-232
- Section: Articles
- URL: https://bakhtiniada.ru/0233-4755/article/view/135037
- DOI: https://doi.org/10.31857/S0233475523030040
- EDN: https://elibrary.ru/EWMQDL
- ID: 135037
Cite item
Full Text
Abstract
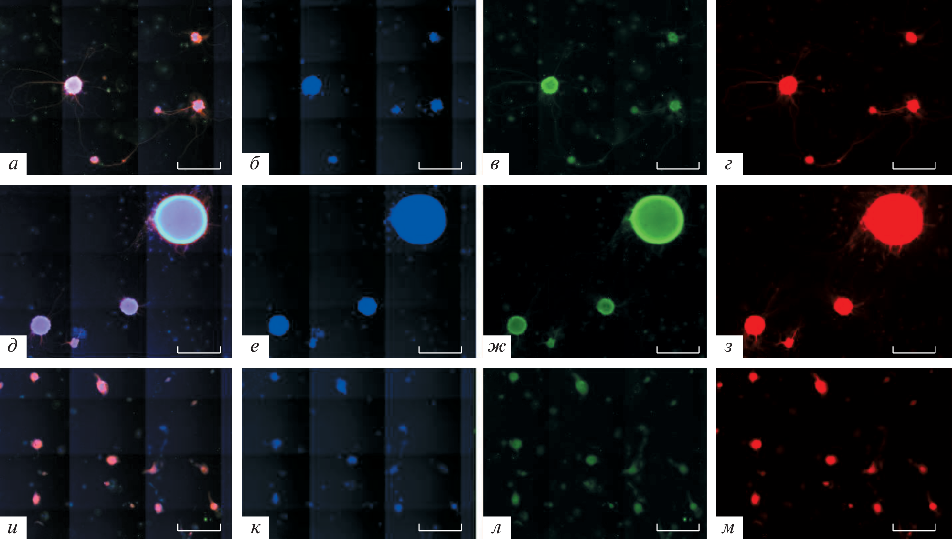
In this work we studied the mutual influence of multipotent mesenchymal stromal cells (MMSC) isolated from Wharton’s jelly of human umbilical cord and primary culture of hippocampal cells obtained from transgenic mice 5XFAD, used as an animal model of inherited form of Alzheimer’s disease (AD). Experimental protocols included both direct and indirect co-cultivation of MMSCs with hippocampal cells from transgenic animals. It was shown that in the conditions of indirect co-culture, the aggressive environment of cultured transgenic cells significantly decreases the survival rate and adhesiveness of MMSCs. However, preliminary priming of MMSCs with proteins YB-1 and HSP70 improved the survival and adhesive properties of MMSCs. It was also found that the interactions of MMSCs with cultured hippocampal cells depend on cell culture age. Old cultures of transgenic cells induced differentiation of MMSC into astrocytes, both during direct and indirect co-cultivation. In contrast, in young cultures of transgenic cells, during contact co-cultivation, MMSCs played the role of specific strands that promoted clustering of hippocampal cells in the culture and the formation of neurospheres. The interaction between MMSCs and neural cells occurred through gap junctions and nanotubes. Our findings expand the understanding of interactions between MMSCs and recipient cells, which allows us to revise the conditions of cellular transplantation therapy for pathological processes in the brain of AD patients.
About the authors
A. V. Chaplygina
Institute of Cell Biophysics, Russian Academy of Sciences, FRC PSCBR RAS
Author for correspondence.
Email: shadowhao@yandex.ru
Russia, 142290, Moscow oblast, Pushchino
D. Y. Zhdanova
Institute of Cell Biophysics, Russian Academy of Sciences, FRC PSCBR RAS
Email: shadowhao@yandex.ru
Russia, 142290, Moscow oblast, Pushchino
V. I. Kovalev
Institute of Cell Biophysics, Russian Academy of Sciences, FRC PSCBR RAS
Email: shadowhao@yandex.ru
Russia, 142290, Moscow oblast, Pushchino
R. A. Poltavtseva
National Medical Research Center for Obstetrics, Gynecology and Perinatology named after Academician V.I. Kulakov, Ministry of Healthcare of the Russian Federation
Email: shadowhao@yandex.ru
Russia, 117198, Moscow
N. V. Bobkova
Institute of Cell Biophysics, Russian Academy of Sciences, FRC PSCBR RAS
Email: shadowhao@yandex.ru
Russia, 142290, Moscow oblast, Pushchino
References
- Sivandzade F., Cucullo L. 2021. Regenerative stem cell therapy for neurodegenerative diseases: An overview. Int. J. Mol. Sci. 22 (4), e2153.
- Carp D.M., Liang Y. 2022. Universal or personalized mesenchymal stem cell therapies: Impact of age, sex, and biological source. Cells. 11 (13), e2077.
- Goncalves K., Przyborski S. 2018. The utility of stem cells for neural regeneration. Brain Neurosci. Adv. 2 (2), e239821281881807
- Behrstock S., Ebert A.D., Klein S., Schmitt M., Moore J.M., Svendsen C.N. 2008. Lesion-induced increase in survival and migration of human neural progenitor cells releasing GDNF. Cell Transplant. 17 (7), 753–762.
- Blurton-Jones M., Kitazawa M., Martinez-Coria H., Castello N.A., Müller F.J., Loring J.F., Yamasaki T.R., Poon W.W., Green K.N., LaFerla F.M. 2009. Neural stem cells improve cognition via BDNF in a transgenic model of Alzheimer disease. Proc. Natl. Acad. Sci. USA. 106 (32), 13594–13599.
- Chaplygina A.V., Zhdanova D.Y., Kovalev V.I., Poltavtseva R.A., Medvinskaya N.I., Bobkova N.V. 2022. Cell therapy as a way to correct impaired neurogenesis in the adult brain in a model of Alzheimer’s disease. J. Evol. Biochem. Physiol. 58 (1), 117–137.
- Kim S., Chang K.A., Kim J.A., Park H.G., Ra J.C., Kim H.S., Suh Y.H. 2012. The preventive and therapeutic effects of intravenous human adipose-derived stem cells in Alzheimer’s disease mice. PLoS One. 7 (9), e45757.
- Bruno S., Kholia S., Deregibus M.C., Camussi G. 2019. The role of extracellular vesicles as paracrine effectors in stem cell-based therapies. Adv. Exp. Med. Biol. 1201, 175–193.
- Yin K., Wang S., Zhao R.C. 2019. Exosomes from mesenchymal stem/stromal cells: A new therapeutic paradigm. Biomark. Res. 7, 8.
- Joyce N., Annett G., Wirthlin L., Olson S., Bauer G., Nolta J.A. 2010. Mesenchymal stem cells for the treatment of neurodegenerative disease. Regen. Med. 5 (6), 933–946.
- Xin D., Li T., Chu X., Ke H., Liu D., Wang Z. 2021. MSCs-extracellular vesicles attenuated neuroinflammation, synapse damage and microglial phagocytosis after hypoxia-ischemia injury by preventing osteopontin expression. Pharmacol. Res. 164, e105322.
- Nair S., Rocha-Ferreira E., Fleiss B., Nijboer C.H., Gressens P, Mallard C, Hagberg H. 2021. Neuroprotection offered by mesenchymal stem cells in perinatal brain injury: Role of mitochondria, inflammation, and reactive oxygen species. J. Neurochem. 158 (1), 59–73.
- Kim D.H., Lee D., Lim H., Choi S.J., Oh W., Yang Y.S., Chang J.H., Jeon H.B. 2018. Effect of growth differentiation factor-15 secreted by human umbilical cord blood-derived mesenchymal stem cells on amyloid beta levels in in vitro and in vivo models of Alzheimer’s disease. Biochem. Biophys. Res. Commun. 504 (4), 933–940.
- Spees J.L., Lee R.H., Gregory C.A. 2016. Mechanisms of mesenchymal stem/stromal cell function. Stem Cell Res. Ther. 7 (1), 125.
- Ramkisoensing A.A., Pijnappels D.A., Swildens J., Goumans M.J., Fibbe W.E., Schalij M.J., de Vries A.A.F., Atsma D.E. 2012. Gap junctional coupling with cardiomyocytes is necessary but not sufficient for cardiomyogenic differentiation of cocultured human mesenchymal stem cells. Stem Cells. 30 (6), 1236–1245.
- Matuskova M., Hlubinova K., Pastorakova A., Hunakova L., Altanerova V., Altaner C., Kucerova L. 2010. HSV-tk expressing mesenchymal stem cells exert bystander effect on human glioblastoma cells. Cancer Lett. 290 (1), 58–67.
- Kikuchi-Taura A., Okinaka Y., Saino O., Takeuchi Y., Ogawa Y., Kimura T., Gul S., Claussen C., Boltze J., Taguchi A. 2021. Gap junction-mediated cell-cell interaction between transplanted mesenchymal stem cells and vascular endothelium in stroke. Stem Cells. 39 (7), 904–912.
- Bobkova N.V., Poltavtseva R.A., Samokhin A.N., Sukhikh G.T. 2013. Therapeutic effect of mesenchymal multipotent stromal cells on memory in animals with Alzheimer-type neurodegeneration. Bull. Exp. Biol. Med. 156 (1), 119–121.
- Poltavtseva R.A., Samokhin A.N., Bobkova N.V., Alexandrova M.A., Sukhikh G.T. 2020. Effect of transplantation of neural stem and progenitor cells on memory in animals with Alzheimer’s type neurodegeneration. Bull. Exp. Biol. Med. 168 (4), 589–596.
- Skok M. 2021. Mesenchymal stem cells as a potential therapeutic tool to cure cognitive impairment caused by neuroinflammation. World J. Stem Cells. 13 (8),1072–1083.
- Yun H.M., Kim H.S., Park K.R., Shin J.M., Kang A.R., il Lee K., Song S., Kim Y.B., Han S.B., Chung H.M., Hong J.T. 2013. Placenta-derived mesenchymal stem cells improve memory dysfunction in an Aβ1-42-infused mouse model of Alzheimer’s disease. Cell Death Dis. 4 (12), e958.
- Bagheri-Mohammadi S. 2021. Microglia in Alzheimer’s disease: The role of stem cell-microglia interaction in brain homeostasis. Neurochem. Res. 46 (2), 141–148.
- Qin C., Lu Y., Wang K., Bai L., Shi G., Huang Y., Li Y. 2020. Transplantation of bone marrow mesenchymal stem cells improves cognitive deficits and alleviates neuropathology in animal models of Alzheimer’s disease: A meta-analytic review on potential mechanisms. Transl. Neurodegener. 9 (1), 20.
- Yang H., Xie Z., Wei L., Yang H., Yang S., Zhu Z., Wang P., Zhao C., Bi J. 2013. Human umbilical cord mesenchymal stem cell-derived neuron-like cells rescue memory deficits and reduce amyloid-beta deposition in an AβPP/PS1 transgenic mouse model. Stem Cell Res. Ther. 4 (4), 76.
- Hernández A.E., García E. 2021. Mesenchymal stem cell therapy for Alzheimer’s disease. Stem Cells Int. 2021, e7834421.
- de Godoy M.A., Saraiva L.M., de Carvalho L.R.P., Vasconcelos-Dos-Santos A., Beiral H.J.V., Ramos A.B., Silva. LR.P., Leal R.B., Monteiro V.H.S., Braga C.V., de Araujo-Silva C.A., Sinis L.C., Bodart-Santos V., Kasai-Brunswick T.H., Alcantara C.L., Lima A.P.C.A., da Cunha-E Silva N.L., Galina A., Vieyra A., De Felice F.G., Mendez-Otero R., Ferreira S.T. 2018. Mesenchymal stem cells and cell-derived extracellular vesicles protect hippocampal neurons from oxidative stress and synapse damage induced by amyloid-β oligomers. J. Biol. Chem. 293 (6), 1957–1975.
- Bobkova N.V., Lyabin D.N., Medvinskaya N.I., Samokhin A.N., Nekrasov P.V., Nesterova I.V., Aleksandrova I.Y., Tatarnikova O.G., Bobylev A.G., Vikhlyantsev I.M., Kukharsky M.S., Ustyugov A.A., Polyakov D.N., Eliseeva I.A., Kretov D.A., Guryanov S.G., Ovchinnikov L.P. 2015. The Y-box binding protein 1 suppresses Alzheimer’s disease progression in two animal models. PLoS One. 10 (9), e0138867.
- Evgenev M., Bobkova N., Krasnov G., Garbuz D., Funikov S., Kudryavtseva A., Kulikov A., Samokhin A., Maltsev A., Nesterova I. 2019. The effect of human HSP70 administration on a mouse model of Alzheimer’s disease strongly depends on transgenicity and Age. J. Alzheimer’s Dis. 67, 1391–1404.
- Miao X., Wu Y., Wang Y., Zhu X., Yin H., He Y., Li C., Liu Y., Lu X., Chen Y., Shen R., Xu X., He S. 2016. Y-box-binding protein-1 (YB-1) promotes cell proliferation, adhesion and drug resistance in diffuse large B-cell lymphoma. Exp. Cell Res. 346 (2), 157–166.
- Xie F., Zhan R., Yan L-C., Gong J-B., Zhao Y., Ma J., Qian L-J. 2016. Diet-induced elevation of circulating HSP70 may trigger cell adhesion and promote the development of atherosclerosis in rats. Cell Stress Chaperones. 21 (5), 907–914.
- Galipeau J., Krampera M., Barrett J., Dazzi F., Deans R.J., DeBruijn J., Dominici M., Fibbe W.E., Gee A.P., Gimble J.M., Hematti P., Koh M.B., LeBlanc K., Martin I., McNiece I.K., Mendicino M., Oh S., Ortiz L., Phinney D.G., Planat V., Shi Y., Stroncek D.F., Viswanathan S., Weiss D.J., Sensebe L. 2016. International Society for Cellular Therapy perspective on immune functional assays for mesenchymal stromal cells as potency release criterion for advanced phase clinical trials. Cytotherapy. 18 (2), 151–159.
- Wang Y., Su J., Fu D., Wang Y., Chen Y., Chen R., Qin G., Zuo J., Yue D. 2018. The role of YB1 in renal cell carcinoma cell adhesion. Int. J. Med. Sci. 15, 1304–1311.
- Kollar K., Cook M.M., Atkinson K., Brooke G. 2009. Molecular mechanisms involved in mesenchymal stem cell migration to the site of acute myocardial infarction. Int. J. Cell Biol. 2009, e904682.
- Tang B., Li X., Liu Y., Chen X., Li X., Chu Y., Zhu H., Liu W., Xu F., Zhou F., Zhang Y. 2018. The therapeutic effect of ICAM-1-overexpressing mesenchymal stem cells on acute Graft-Versus-Host disease. Cell. Physiol. Biochem. Int. J. Exp. Cell. Physiol. Biochem. Pharmacol. 46 (6), 2624–2635.
- Tatarnikova O.G., Orlov M.A., Bobkova N.V. 2015. Beta-amyloid and tau-protein: structure, interaction, and prion-like properties. Biochemistry. (Mosc). 80 (13), 1800–1819.
- Sukach A.N., Ivanov E.N. 2007. Formation of spherical colonies as a property of stem cells. Cell tissue biol. 1 (6), 476–481.
- Onfelt B., Nedvetzki S., Benninger R.K., Purbhoo M.A., Sowinski S., Hume A.N., Seabra M.C., Neil M.A., French P.M., Davis D.M. 2006. Structurally distinct membrane nanotubes between human macrophages support long-distance vesicular traffic or surfing of bacteria. J. Immunol. 177 (12), 8476–8483.
Supplementary files












