Aspects of Towed Underwater Vehicle “Videomodule” Utilization for Surveying Underwater Objects and Benthic Fauna
- Authors: Anisimov I.M.1, Zalota A.K.1, Lesin A.V.1, Muravya V.O.1
-
Affiliations:
- Shirshov Institute of Oceanology, Russian Academy of Science
- Issue: Vol 63, No 5 (2023)
- Pages: 840-852
- Section: Instruments and methods
- URL: https://bakhtiniada.ru/0030-1574/article/view/140451
- DOI: https://doi.org/10.31857/S0030157423050027
- EDN: https://elibrary.ru/XUZQGK
- ID: 140451
Cite item
Full Text
Abstract
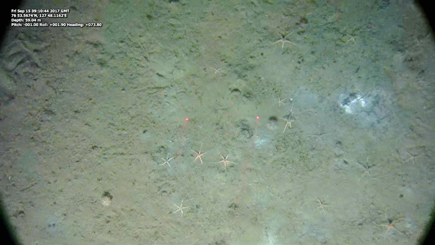
The use of towed underwater uninhabited vehicles equipped with photo, video, and sonar systems has proven its effectiveness in studies of the bottom surface within the framework of integrated studies of the World Ocean. This class of devices solves a wide range of tasks, including biological studies of benthic fauna and surveys of underwater technogenic objects. The towed vehicle “Videomodule” was developed at the Shirshov Institute of Oceanology of the Russian Academy of Sciences and successfully used for several years to conduct such surveys. This article discusses the technical features and application issues of working with the “Videomodule” device.
Keywords
About the authors
I. M. Anisimov
Shirshov Institute of Oceanology, Russian Academy of Science
Author for correspondence.
Email: anisimov.im@ocean.ru
Russia, 117997, Moscow
A. K. Zalota
Shirshov Institute of Oceanology, Russian Academy of Science
Email: anisimov.im@ocean.ru
Russia, 117997, Moscow
A. V. Lesin
Shirshov Institute of Oceanology, Russian Academy of Science
Email: anisimov.im@ocean.ru
Russia, 117997, Moscow
V. O. Muravya
Shirshov Institute of Oceanology, Russian Academy of Science
Email: anisimov.im@ocean.ru
Russia, 117997, Moscow
References
- Анисимов И.М. О выборе источников искусственного освещения для буксируемого необитаемого подводного аппарата “Видеомодуль” // Океанологические исследования. 2018. Т. 46. № 3. С. 214–224.
- Анисимов И.М., Лесин А.В., Муравья В.О., Тронза С.Н. Построение трехмерных моделей затопленных объектов по данным подводной фото- и видеосъемки // Комплексные исследования Мирового океана : Материалы VI Всероссийской научной конференции молодых ученых. Москва, 18–24 апреля 2021 г. М.: ИО РАН, 2021. С. 524–525.
- Анисимов И.М., Римский-Корсаков Н.А., Тронза С.Н. Развитие глубоководных технологий визуальных наблюдений рельефа дна и подводных объектов // Международный журнал прикладных и фундаментальных исследований. 2019. № 10. С. 149–153.
- Анисимов И.М., Тронза С.Н. Программное комплексирование данных синхронной видеосъемки и гидролокационного обзора поверхности дна // Океанология. 2021. Т. 61. № 3. С. 479–490.
- Веденин А.А., Галкин С.В. Исследования континентального склона моря Лаптевых с использованием БНПА “Видеомодуль” // Материалы XVI Всероссийской научно-технической конференции “Современные методы и средства океанологических исследований (МСОИ-2019)”. Т. 2. М.: Издательский дом Академии имени Н.Е. Жуковского, 2019. С. 276–279.
- ГНОМ – телеуправляемый подводный аппарат [Электронный ресурс]. URL: https://gnomrov.ru/ (дата обращения: 11.09.2022).
- Залота А.К., Спиридонов В.А., Галкин С.В., Пронин А.А. Популяционная структура краба-вселенца (Chionoecetes opilio) в Карском море (траловые сборы и видеоучет) // Океанология. 2020. Т. 60. № 1. С. 97–103.
- Зимина О.Л. Находка краба-стригуна Chionoecetes opilio (O. Fabricius. 1788) (Decapoda: Majidae) в Карском море // Биология Моря. 2014. Т. 40. № 6. С. 497–499.
- Лесин А.В., Анисимов И.М. Применение волоконно-оптической линии связи для работы с буксируемыми необитаемыми подводными аппаратами // Экология Гидросферы. 2021. № 1 (6). С. 61–68.
- Поярков С.Г., Римский-Корсаков Н.А., Флинт М.В. Технические аспекты исследований окружающей среды в западной части Карского моря // Океанологические исследования. 2017. Т. 45. № 1. С. 171–186.
- Пронин А.А. Методика сбора и представления материалов видеосъемки поверхности дна с помощью необитаемого подводного буксируемого аппарата “Видеомодуль” // Международный журнал прикладных и фундаментальных исследований. 2017. № 12-1. С. 142–147.
- Римский-Корсаков Н.А., Флинт М.В., Поярков С.Г. и др. Развитие технологии комплексных инструментальных подводных наблюдений применительно к экосистемам Российской Арктики // Океанология. 2019. Т. 59. № 4. С. 679–683.
- Римский-Корсаков Н.А., Флинт М.В., Казеннов А.Ю. и др. Результаты исследования объектов, представляющих экологическую угрозу, в заливе Абросимова (Новая Земля, Карское море) // Океанология. 2020. Т. 60. № 5. С. 720–728.
- Римский-Корсаков Н.А., Книвель Н.Я., Казеннов А.Ю. и др. Радиационно опасные объекты в Российской Арктике (85-ый рейс научно-исследовательского судна “Академик Мстислав Келдыш” в Карское море) // Океанология. 2022. Т. 62. № 3. С. 495–498.
- Сивинцев Ю.В., Вакуловский С.М., Васильев А.П. и др. Техногенные радионуклиды в морях, омывающих Россию: радиоэкологические последствия удаления радиоактивных отходов в арктические и дальневосточные моря (“Белая книга-2000”). М.: ИздАТ, 2005. 624 с.
- Флинт М.В., Поярков С.Г. Комплексные исследования экосистемы Карского моря (128-й рейс научно-исследовательского судна “Профессор Штокман”) // Океанология. 2015. Т. 55. № 4. С. 723–726.
- Флинт М.В., Поярков С.Г., Римский-Корсаков Н.А. Экосистемы Российской Арктики-2015 (63-й рейс научно-исследовательского судна “Академик Мстислав Келдыш”) // Океанология. 2016. Т. 56. № 3. P. 499–501.
- Baranov B., Galkin S., Vedenin A. et al. Methane seeps on the outer shelf of the Laptev Sea: characteristic features, structural control, and benthic fauna // Geo-Marine Letters. 2020. V. 40. № 4. P. 541–557.
- Jones D., Bett B., Wynn R., Masson D. The use of towed camera platforms in deep-water science // Underwater Technology. 2009. V. 28. № 2. P. 41–50.
- McIntyre A.D., Holme N.A. Methods for the study of marine benthos. Oxford: Blackwell Scientific Publications, 1984. 387 p.
- Purser A., Marcon Y., Dreutter S. et al. Ocean floor observation and bathymetry system (OFOBS): A new towed camera/sonar system for deep-sea habitat surveys // IEEE Journal of Oceanic Engineering. 2019. V. 44. № 1. P. 87–99.
- Shortis M.R., Seager J.W., Williams A. et al. Using Stereo-Video for Deep Water Benthic Habitat Surveys // Marine Technology Society Journal. 2008. V. 42. № 4. P. 28–37.
- Zalota A.K., Spiridonov V.A., Vedenin A.A. Development of snow crab Chionoecetes opilio (Crustacea: Decapoda: Oregonidae) invasion in the Kara Sea // Polar Biology. 2018. № 41(10). P. 1983–1994.
- Zalota A.K., Zimina O.L., Spiridonov V.A. Combining data from different sampling methods to study the development of an alien crab Chionoecetes opilio invasion in the remote and pristine Arctic Kara Sea // Peer J. 2019. V. 7. e7952.
Supplementary files












